Bão Melissa được dự báo mang đến "tình hình thảm khốc" cho Jamaica
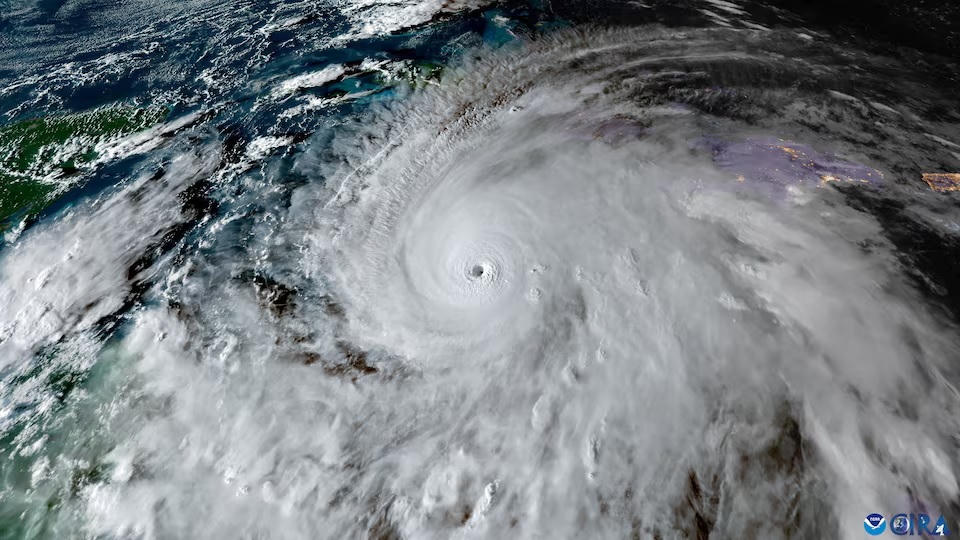
Ngày 28/10, một quan chức thời tiết của Liên hợp quốc (LHQ) cho biết, bão Melissa được dự đoán sẽ gây ra thảm họa khi đổ bộ vào Jamaica với nước dâng, lũ quét và sạt lở đất. Đây sẽ là cơn bão tồi tệ nhất từng đổ bộ vào hòn đảo Caribe trong thế kỷ này.

Cơn bão cấp 5, mạnh nhất có thể theo thang Saffir-Simpson, sẽ mang theo sức gió giật hơn 300 km/giờ và sự tàn phá trên diện rộng cho hòn đảo, nơi chính quyền đã ra lệnh sơ tán bắt buộc. "Đây là một tình huống thảm khốc dự kiến sẽ xảy ra ở Jamaica. Đối với Jamaica, đây chắc chắn sẽ là cơn bão của thế kỷ", chuyên gia về bão nhiệt đới của Tổ chức Khí tượng Thế giới (WMO) Anne-Claire Fontan phát biểu tại một cuộc họp báo ở Geneva.
Bà Fontan cho biết, nước dâng do bão dự kiến lên tới 4 mét, với lượng mưa dự kiến vượt quá 70 cm, gây ra "lũ quét và lở đất thảm khốc". Trung tâm Bão Quốc gia Hoa Kỳ dự kiến cơn bão sẽ đổ bộ vào Jamaica vào sáng sớm ngày 29/10, sau đó băng qua miền Đông Cuba và di chuyển qua Bahamas và Turks và Caicos vào ngày 30/10.
Các nhà dự báo của NHC cho biết, việc Melissa di chuyển chậm trên vùng biển Caribbean ấm áp bất thường đã góp phần làm tăng kích thước và sức mạnh của cơn bão, đe dọa Jamaica với những ngày mưa gió thảm khốc chưa từng thấy.
Liên đoàn Chữ thập đỏ Quốc tế cho biết có tới 1,5 triệu người ở Jamaica dự kiến sẽ bị ảnh hưởng trực tiếp bởi cơn bão. "Hôm nay sẽ là một ngày rất khó khăn đối với hàng chục nghìn, nếu không muốn nói là hàng triệu người dân Jamaica. Mái nhà sẽ bị thử thách, nước lũ sẽ dâng cao, sự cô lập sẽ trở thành hiện thực khắc nghiệt đối với nhiều người", ông Necephor Mghendi của IFRC phát biểu qua đường truyền video từ Cảng Tây Ban Nha ở Trinidad và Tobago.
Ông Mghendi cho biết, để việc phân phối hàng cứu trợ được nhanh chóng, các mặt hàng thiết yếu như bạt, bộ dụng cụ vệ sinh, chăn và nước uống an toàn đã được bố trí sẵn tại các chi nhánh của Hội Chữ thập đỏ trên đảo. Hơn 800 nơi trú ẩn được thiết lập cho người sơ tán.
Trong ngày 28/10, Thủ tướng Jamaica Andrew Holness đã ra lệnh sơ tán bắt buộc đối với một số khu vực ở miền nam Jamaica, bao gồm cả thị trấn lịch sử Port Royal.
Thủ tướng Holness cảnh báo về thiệt hại đối với đất nông nghiệp, nhà cửa và cơ sở hạ tầng trên đảo, nơi có diện tích gần bằng bang Connecticut và các sân bay chính nằm gần mực nước biển. "Không có cơ sở hạ tầng nào trong khu vực có thể chịu được bão cấp 5", Thủ tướng Holness nói.
Ông Holness cho biết thêm, chính phủ của ông đã chuẩn bị tốt nhất có thể, với ngân sách ứng phó khẩn cấp là 33 triệu USD và các khoản dự phòng bảo hiểm và tín dụng cho thiệt hại lớn hơn một chút so với thiệt hại do cơn bão tàn khốc Beryl gây ra năm ngoái.
Beryl là cơn bão Đại Tây Dương sớm nhất và nhanh nhất được ghi nhận đạt cấp 5, nhưng các nhà khoa học cảnh báo rằng các cơn bão đang trở nên mạnh hơn nhanh hơn do biến đổi khí hậu làm nước biển ấm lên.
"Những cơn bão lớn di chuyển chậm thường được ghi nhận là một trong những cơn bão gây chết chóc và tàn phá nặng nề nhất từng được ghi nhận. Đây là một tình huống thảm khốc đang diễn ra chậm rãi", ông Jonathan Porter, Trưởng phòng Khí tượng của AccuWeather, cho biết.
Anh Damian Anderson, một giáo viên đến từ Hagley Gap, một thị trấn nằm trong dãy núi Blue Mountains của Jamaica, cho biết, những con đường không thể đi lại đã cô lập cộng đồng của anh. "Chúng tôi chưa bao giờ chứng kiến một sự kiện kéo dài nhiều ngày như thế này trước đây, khi không thể di chuyển ra bên ngoài khu vực".
Theo chính quyền ,hai nước láng giềng là Haiti và Cộng hòa Dominica đã phải đối mặt với những trận mưa xối xả trong nhiều ngày qua, khiến ít nhất 4 người thiệt mạng. "Melissa sẽ tiếp tục di chuyển về phía Nam Cuba và sau đó là Bahamas, mang theo mưa lớn và gió mạnh cũng như sóng lớn do bão", ông Fontan của WMO cho biết.
Thủ tướng Bahamas Philip Davis đã ra lệnh sơ tán người dân ở các khu vực phía nam và phía đông của quần đảo.
Tại Cuba, chính quyền cho biết họ đã sơ tán hơn 500.000 người khỏi những khu vực dễ bị gió và lũ lụt.